物件詳細
【管理番号】 C-100
蒜山富掛田 C-100
別荘地の一角です。約200坪のゆったり区画です
物件概要
-
価格
600万円
-
土地面積
公簿 662㎡ 約200坪
-
坪単価
約3.0万円
-
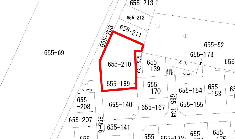
所在地
真庭市蒜山富掛田655-210
-
交通
中国自動車道 蒜山ICより 車で13分
| 物件種目 | 売別荘地 | 最適用途 | 住宅用地、別荘用地 |
|---|---|---|---|
| 建物構造・階数 | ー | 築年月 | ー |
| 地目 | 山林 | 駐車場 | ー |
| 現況 | 更地 | 私道面積 | ー |
| 地勢 | 傾斜地 | 接道状況 | 一方(私道)西側5m |
| 引渡し | 即時 | 条件等 | 現況渡し |
| 土地権利 | 所有権 | 都市計画 | 区域外 |
| 用途地域 | ー | 国土法 | ー |
| 建・容率 | 70%・400% | 一時金等 | ー |
| 小学校区 | ー | 中学校区 | ー |
| 設備 | ー | ||
| 周辺施設 | ー | ||
| 備考 | ー | ||
| 取引形態 | 専属専任媒介 | 管理番号 | C-100 |
周辺地図
Loading...
この物件へのお問い合わせ
お問い合わせ時に
【 物件管理番号 C-100 】 とお伝えください。
0867-66-3098
定休日・営業時間外もご相談可能です
LINEお問い合わせQRコードが表示されます
フォームでお問い合わせはこちら
蒜山富掛田 C-100についてのお問い合わせ
















